*日当たり良く公共施設等にも近い場所です*






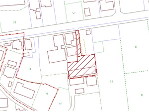
| 物件番号 | 202207-45 | 住 所 | 東諸県郡綾町大字南俣240-3 他 |
|---|---|---|---|
| 物件種目 | 売地(住宅用地) | 金 額 | 6,300,000円 |
| 土地権利 | 所有権 | 土地面積 | 敷地面積 419.41㎡(126.87坪) 進入路面積 83.97㎡(25.4坪) |
| 地 目 | 宅地 | 用途地域 | 無指定 |
| 都市計画 | 都市計画区域 | 容積率・建ぺい率 | 200%・70% |
| 建築条件 | - | セットバック | - |
| 現 況 | 倉庫有り | 下水・浄化槽 | 下水区域 |
| 接 道 | 北 | 最寄バス停 | 旭通りバス亭 徒歩5分 |
| 引渡期間 | 要相談 | 取引態様 | 一般媒介 |
| そ の 他 |
*現況での取引となります。 *金額のご相談は、一度お問い合わせ下さい。 *更地での取引希望は一度お問い合わせください。 *旗竿地となっております。 *進入路は、隣地所有者と共有所有になります。 |
||
【最寄施設】
綾町役場 約0.85km
綾保育所 約0.95km
南俣保育所 約1.5km
中坪保育所 約0.6km
綾小学校 約0.95km
綾中学校 約0.9km
てるはドーム 約0.85km
てるは図書館 約0.8km
綾郵便局 約0.55km
マックスバリュ 約0.7km
セブンイレブン 約0.6km
ファミリーマート 約1.0km